pull-icon
logo-mobile
logo-mobile

Гость

Гостевой доступ

Комплекс недвижимого имущества в г. Гомеле

Информация о предмете торгов
Местоположение имущества г. Гомель, ул. Лепешинского, 2б
Описание Комплекс недвижимого имущества состоящий из 4-х строений:

Сведения о капитальных строениях:

1. Инвентарный номер: 350/C-59171
Адрес (местоположение): Гомельская обл., г. Гомель, ул. Лепешинского, 2Б
Общая площадь (протяженность): 462.9 кв.м.
Наименование: здание производственного корпуса
Назначение:
Здание неустановленного назначения
Составные части и принадлежности:
склад ГСМ, бетонная площадка склада ГСМ, проезжая часть, двор, ограда ГСМ, четыре ограды, бетонный борт, ворота главного въезда.

2. Инвентарный номер: 350/C-59177
Адрес (местоположение): Гомельская обл., г. Гомель, ул. Лепешинского, 2Б
Общая площадь (протяженность): 123.6 кв.м.
Наименование: здание гаражей
Назначение: Здание специализированное автомобильного транспорта

3. Инвентарный номер: 350/C-59172
Адрес (местоположение): Гомельская обл., г. Гомель, ул. Лепешинского, 2Б
Общая площадь (протяженность): 307.8 кв.м.
Наименование: здание склада
Назначение: Здание специализированное складов, торговых баз, баз материально-технического снабжения, хранилищ

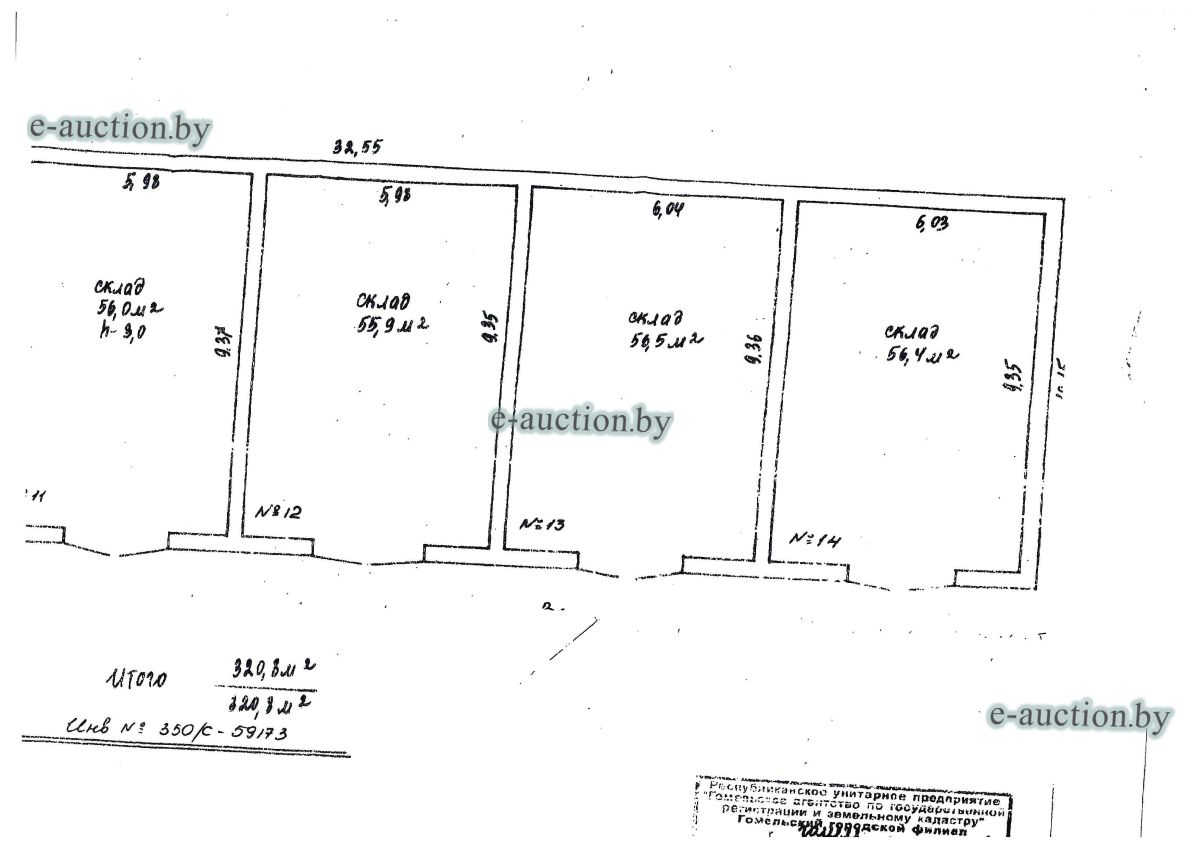
4. Инвентарный номер: 350/C-59173
Адрес (местоположение): Гомельская обл., г. Гомель, ул. Лепешинского, 2Б
Общая площадь (протяженность): 320.8 кв.м.
Наименование: здание склада
Назначение: Здание специализированное складов, торговых баз, баз материально-технического снабжения, хранилищ

Сведения о земельном участке:
Кадастровый номер земельного участка, на котором расположены капитальные строения: 340100000002003677 площадью 0.3236 га (право постоянного пользования), расположен на природных территориях, подлежащих специальной охране (в водоохранных зонах рек и водоемов),площадь 0.3171 га, в охранных зонах электрических сетей, площадь 0.1445 га, в зонах санитарной охраны водопроводных сооружений, площадь 0.1445 га и в охранных зонах сетей и сооружений теплоснабжения, площадь 0.1445 га.
Целевое назначение земельного участка: Земельный участок для эксплуатации и обслуживания зданий базы по ул. Лепешинского, 2 б
Назначение земельного участка в соответствии с единой классификацией назначения объектов недвижимого имущества: Земельный участок для размещения объектов оптовой торговли, материально-технического и продовольственного снабжения, заготовок и сбыта продукции

Обременения: Договоры аренды
Осмотр объекта
Участник электронных торгов обязан до начала электронных торгов осмотреть предмет торгов ( п.2.4.3 Регламента)
Контактное лицо: Заказчик электронных торгов
Контакты: +375336560010
Продавец имущества
Наименование ООО "Наша аренда"
УНП организации 491377431
Контакты организатора аукциона +375293960010
Адрес организатора аукциона г. Гомель
Email организатора аукциона arendavrb@gmail.com
Сведения о публикации в газете Газета "Республика", планируемая дата публикации 18.12.2025
Оператор торгов
Наименование Гомельский филиал республиканского унитарного предприятия по оказанию услуг «БелЮрОбеспечение»
Адрес г. Гомель, ул. Троллейбусная, 6
Телефон +375 (232) 35-81-32
Email gomel@e-auction.by
Реквизиты Гомельский филиал республиканского унитарного предприятия по оказанию услуг «БелЮрОбеспечение», УНП: 192821149, р/c BY75AKBB30121246500343000000 в ОАО «АСБ Беларусбанк», БИК AKBBBY2X

Вы оказались единственными учатником аукциона

Вам предоставляется возможнсть преобрести лот №9.2026.01.00019 по начальной цене 438 281.17 BYN плюс 5%.

Итоговая стоимость имущества составит: 460 195.23 BYN

Согласен приобрести лот Не согласен приобрести лот

Вам предложено преобрести имущество

В связи с признанием торгов несостоявшимися ввиду неоплаты победителем стоимости лота предлагаем в течение 5 рабочих дней принять решение о приобретении лота №9.2026.01.00019 по вашей последней ставке.

Итоговая стоимость имущества составит: 0.00 BYN

Согласен приобрести лот Не согласен приобрести лот


Для участия в аукционе вам нужно оплатить задаток в размере 43 828.12 BYN для участия в аукционе.


Внимание! Вы действительно хотите установить ставку равную 15 000,03 BYN значительно превышающую по отношению к предыдущей на

+10 000,00 BYN


Внимание! Вы действительно хотите установить ставку равную 15 000,03 BYN, значительно превышающую по отношению к предыдущей на

+10 000,00 BYN

Ставка значительно превышает предыдущую ставку. Для подтверждения ставки подтвердите согласие на установку и введите слово "СОГЛАСЕН" в поле ниже:




Забыли пароль? Восcтановить доступ к площадке.


Уважаемый пользователь! В соответствии с Законом Республики Беларусь «О защите персональных данных» для продолжения работы на интернет-сайте e- auction.by просим ознакомиться с Пользовательским соглашением интернет-сайта e-auction.by и выразить согласие на обработку информации о пользователе, в том числе персональных данных.


Для восcтановления доступа вам нужно ввести зарегистрированный почтовый адрес. На указанный вами почтовый адрес будет выслана уникальная ссылка для создания нового пароля.

Вспомнили? Авторизация